Ter. residenziale in vendita

Ravenna, Via Savarna - Savarna
€ 139.000
217 Mq 217 Mq

Ter. residenziale in vendita

Ravenna, Via Savarna - Savarna

Descrizione annuncio

SAVARNA - VIA SAVARNA

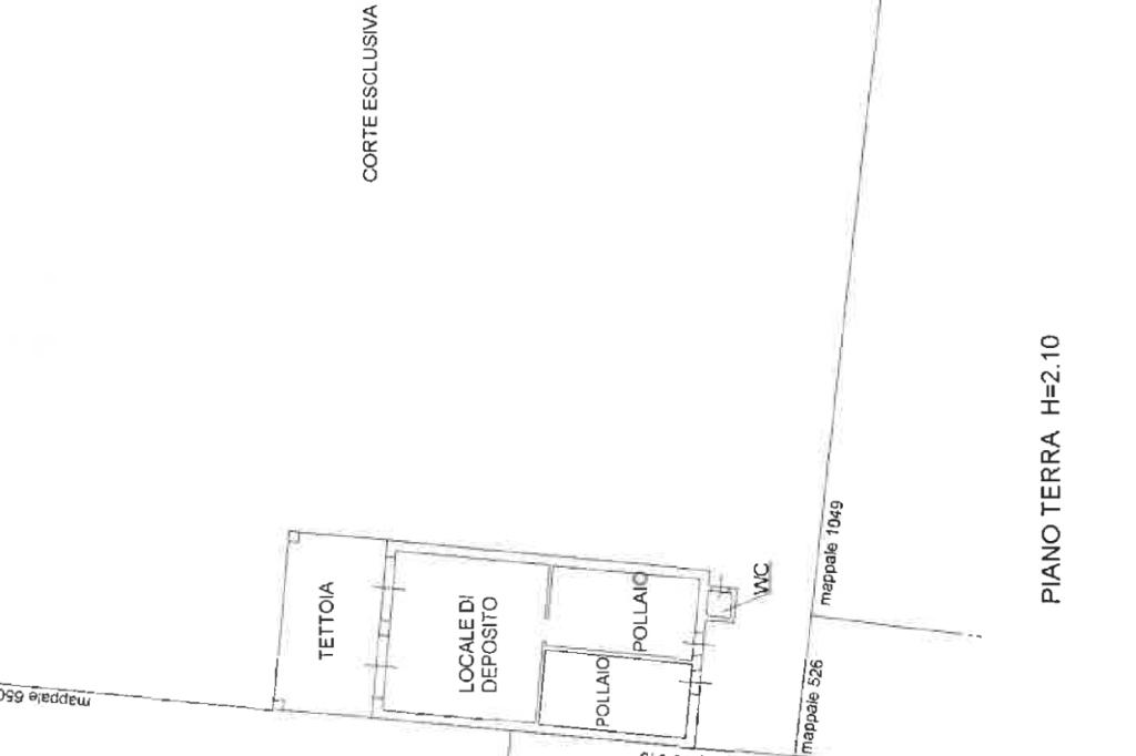
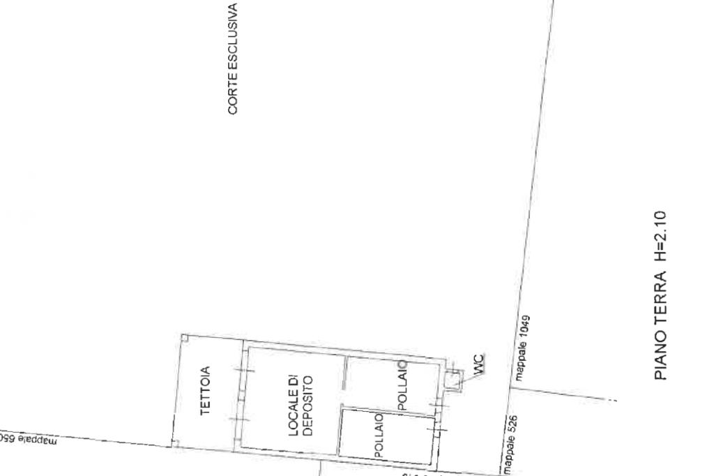
Proponiamo in vendita interessante terreno edificabile di circa 1.300 mq, ideale per chi desidera realizzare una soluzione abitativa su misura o per imprese alla ricerca di un’opportunità di sviluppo.

Il lotto è edificabile al 50%, offrendo un’ottima potenzialità costruttiva e ampie possibilità progettuali, sia per una villa singola di importanti dimensioni sia per una soluzione bifamiliare o plurifamiliare, nel rispetto degli indici urbanistici vigenti.

All’interno della proprietà sono già presenti due locali ad uso deposito, utili come spazi di appoggio durante un’eventuale fase di costruzione o come ambienti da mantenere a servizio della futura abitazione.

La metratura generosa consente di progettare non solo l’edificio principale, ma anche giardino, area parcheggio e spazi esterni vivibili, garantendo privacy e versatilità.

Soluzione ideale per privati, investitori o costruttori alla ricerca di un terreno con ottima capacità edificatoria.

Mostra tutto

Nelle vicinanze

Ristoranti Ristoranti
CZ
1,6 Km
Ristorante Kolibri
2,8 Km
Mostra tutto

Caratteristiche

Rif.:
61186068
Piano:
Terra
Arredamento:
Assente
Condizionamento:
Assente
Ascensore:
No
Riscaldamento:
Assente
Mostra tutto
Prezzo Prezzo
€ 139.000
Rata mutuo Rata mutuo
€ 660 / mese
Spese annue Spese annue
€ 0
Proponi il tuo prezzoProponi il tuo prezzo

Classe Energetica

G
G
G
G
G
G
G
G
G
Anno di costruzione:
1960
Riscaldamento:
Assente

Ti interessa visionare l'immobile?

Fissa un appuntamento  Fissa un appuntamento

Richiedi informazioni

Clicca su Leggi per aprire l'informativa
* Questi campi sono obbligatori

Calcola il tuo mutuo

Semplice e senza impegno
Anticipo

( % )
Mutuo

( % )

pochi semplici passi

inserisci i tuoi dati
Questionario completato
Grazie per aver richiesto un appuntamento senza impegno con un nostro Consulente del Credito e Assicurativo.

Hai inserito correttamente tutti i dati necessari e a breve riceverai una e-mail con un link da convalidare per inviare i tuoi dati.
Affiliato
Studio Alfa Srl
Via Giacomo Matteotti, 51 48011 Alfonsine (RA)

Il nostro staff


  • Sara Dell'Aversano Orabona
    Coordinatrice

  • Gianni D'Antuono
    Collaboratore

  • Federico Pozzi
    Affiliato
Via Giacomo Matteotti, 51 48011 Alfonsine (RA)
Zona: Alfonsine - Fusignano e limitrofi
Mostra su mappa
Orari: Dal lunedì al venerdi dalle ore 9 alle 13 e dalle 15 alle 19. Sabato dalle ore 9 alle ore 13, pomeriggio su appuntamento.
Affiliato
Studio Alfa Srl
Via Giacomo Matteotti, 51 48011 Alfonsine (RA)

2026 Tecnocasa Franchising S.p.A. - P. IVA 08365160152 - Via Monte Bianco 60/A 20089 Rozzano (MI). Ogni agenzia ha un proprio titolare ed è autonoma. Privacy policy | Policy utilizzo | Cookie policy